В Татарстане продолжаются рейды по недопущению незаконной добычи биологических ресурсов. Сотрудники Госкомитета проводят мероприятия в круглосуточном режиме. В ходе очередного выезда вблизи города Чистополь на реке Кама инспекторы обнаружили мужчину, осуществлявшего лов рыбы запрещенным способом. О факте была оперативно передана информация по системе 112 – единому номеру вызова экстренных оперативных служб.
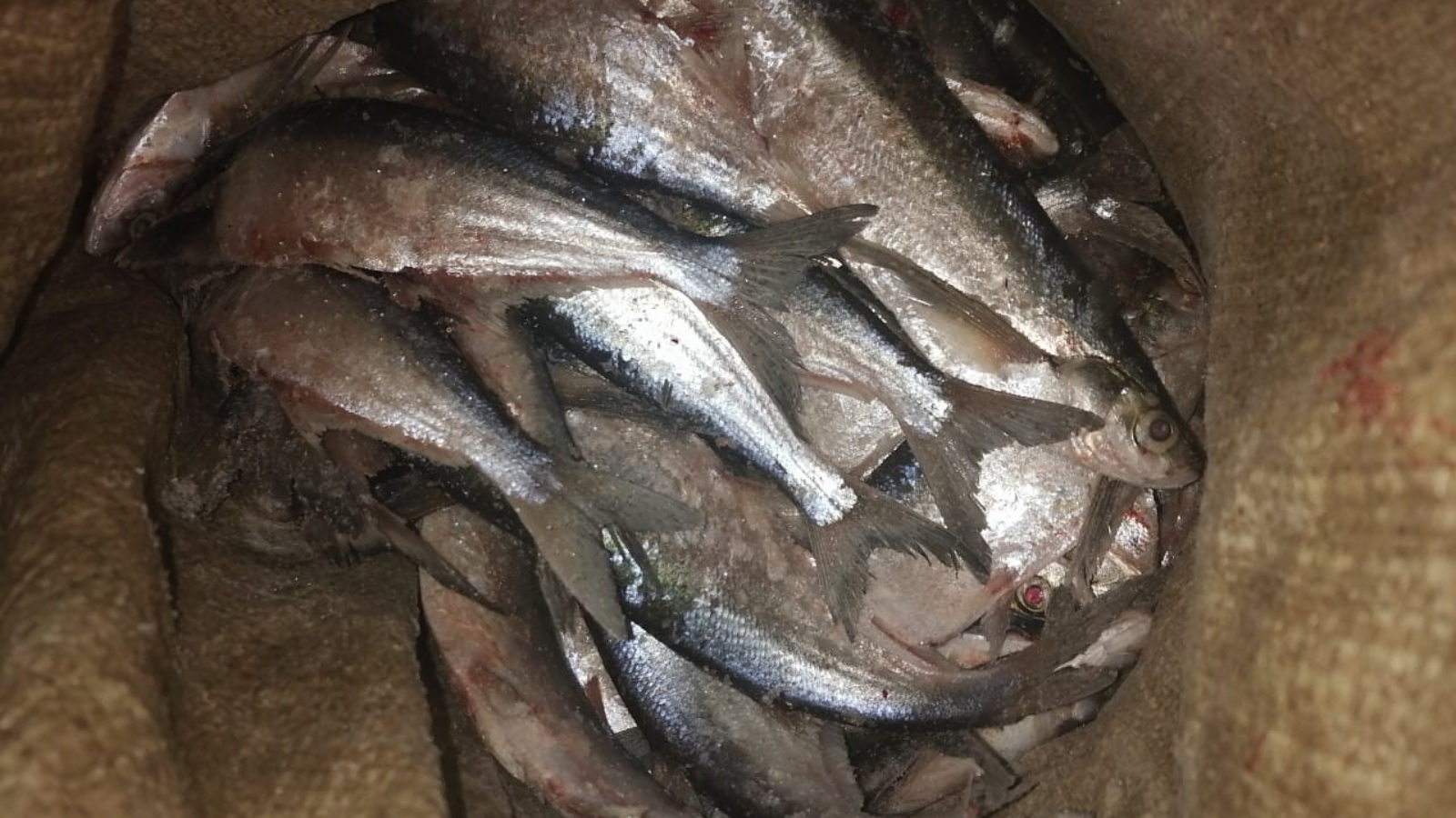
На место прибыли сотрудники Чистопольского ОВД. Браконьер задержан, при нем были сети, бур и 96 экземпляров рыбы.
В настоящее время решается вопрос о возбуждении уголовного дела. Напомним, согласно статье 256 ч.1. (Незаконная добыча (вылов) водных биологических ресурсов, предусмотрен штраф от 300 тысяч до 500 тысяч рублей, либо обязательные работы на срок до 480 часов, либо исправительные работами на срок до 2-х лет, либо лишение свободы на тот же срок).

